دراسة جديدة تحل لغز الثقوب الغريبة في أعماق المحيطات

أجرى علماء من جامعة كيل دراسة جديدة تمكنت من حل لغز “الثقوب الغريبة” في أعماق المحيطات.
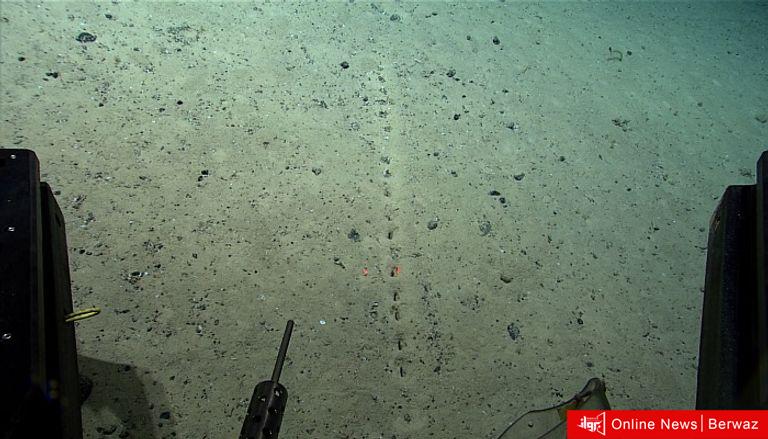
وأوضح العلماء بأن هذه “الثقوب الغامضة” ليست دائمًا، نتيجة لتسرب غاز الميثان من تحت رواسب قاع المحيطات.
وفي بعض الأحيان عبارة عن الفوضى التي خلفتها خنازير البحر وثعابين الرمل التي تعيش في المنطقة.
وفي دراسة أجراها عالم الجيولوجيا، ينس شنايدر فون ديملينج، من جامعة كيل، أظهرت أن هذه الثقوب هي من عمل خنازير البحر التي تتغذى بين رواسب قاع البحر.
وهذا الأمر الذي يزعج الثعابين الرملية التي تعشش فيها، فتخرج من جحورها أو تؤكل تاركة “الثقوب” خلفها.
وقال شنايدر فون دايملينج:
(تظهر نتائجنا لأول مرة أن هذه المنخفضات تحدث في اتصال مباشر مع موطن وسلوك خنازير البحر وثعابين الرمل، ولا تتشكل بسبب ارتفاع السوائل)
وتابع: (توفر بياناتنا العالية الدقة تفسيرا جديدا لتشكيل عشرات الآلاف من الحفر في قاع بحر الشمال).



